Pre-Programming Preparation:
I. Preliminary Requirements
PC Setup: Prepare a computer pre-installed with OE software and ensure it is fully charged.
Tip: It is recommended to keep the PC connected to a power source throughout the programming process to prevent interruptions caused by power loss.
Network Connection: The computer must be connected via a wired network to ensure a download speed of ≥5MB/s.
Note: Some ECU data files are large; excessive network latency or disconnection will directly cause programming failure.
Vehicle Power: Connect the vehicle to a dedicated stable voltage power supply (programming power supply) and maintain the voltage between 13.2V and 14.5V.
Warning: Voltage fluctuations can cause programming failure. Ensure stable power supply.
Parking: Park the vehicle on level ground to prevent the risk of rolling. An inclined surface may lead to accidents during programming.
II. Pre-Programming Inspection
Circuit Check: Verify that the ECU power supply and grounding circuits are normal. Confirm that the ECU information to be programmed matches the current vehicle's ECU information exactly.
Refurbished ECU: If programming a refurbished ECU, strictly follow the manufacturer's operating guidelines.
Some refurbished ECUs (e.g., anti-theft related) may fail OEM software verification.
Used ECUs may need to be wiped (cleared of data) before use; otherwise, programming will fail.
Recommendation: It is recommended to use a brand new ECU for programming, and a stable voltage power supply must be connected during the process.
III. Programming Procedures
Follow Instructions: During programming, carefully read the prompts within the OEM software and execute steps strictly. Do not perform unauthorized operations.
IV. Troubleshooting Programming Failures
Initial Check: If programming fails, first check the vehicle status and the connection of the diagnostic equipment.
Retry Method: If the status is normal, it is recommended to let the vehicle sleep for 30 minutes before retrying. Power cycling or sleep mode can clear cached error data and improve the success rate of the retry.
Display Issues: If the vehicle instrument cluster fails to display information correctly after a failure, it is recommended to re-program immediately. Do not disconnect the equipment or power, and do not turn off the ignition.
⚠️ Important Note: Please try to use a brand new ECU for programming, and ensure a stable voltage power supply is connected during the process.
1. Take out the RLink device and connect it to both the vehicle's OBD port and the computer's USB port. Ensure that the connections are secure.
2. Once the device is connected, launch the RLink Platform software. Check the vehicle connection status via the connection info within the platform, and verify if the drivers are installed.
Note: Before programming with FDRS, it is recommended to log in to your RLink Platform account to check for any software or firmware updates. If updates are available, please install them before proceeding with the vehicle programming.
3. Double-click to open the FDRS software.

4. Log in to your subscribed FDRS account.
Note: When logging in, please select "Independent Operator / Non-Dealer" as the account type, and ensure you choose the region associated with your account.
5. After logging in, click the VCI icon in the bottom right corner and select "Other Device." From the selection box, choose "Artidiag RLink" and click OK.
Note: If the RLink option is not available in the list, please check if the registry information is correct.
6. Click "Read VIN from vehicle" to read the VIN. Once the reading is complete, click GO.
7. After reading the vehicle information, verify that the vehicle model is correct and click "Go to ToolBox".
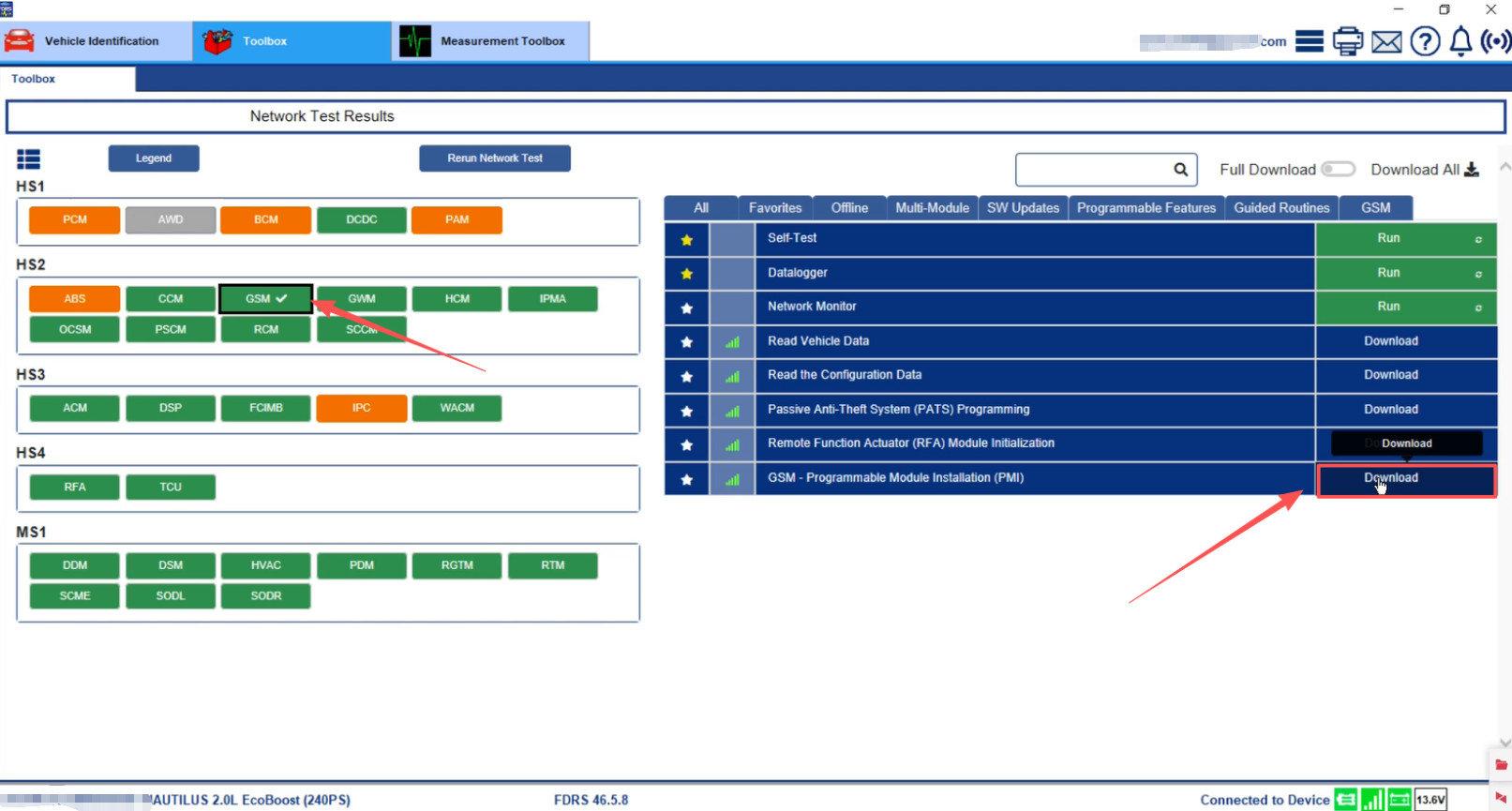
8.Select GSM and navigate to GSM - Programmable Module Installation (PMI), then click Download to start the programming.
Note: If there are current faults in the vehicle, you must identify the fault type first. If issues such as internal ECU failures or wiring shorts exist, be sure to troubleshoot and repair them before performing any module programming.

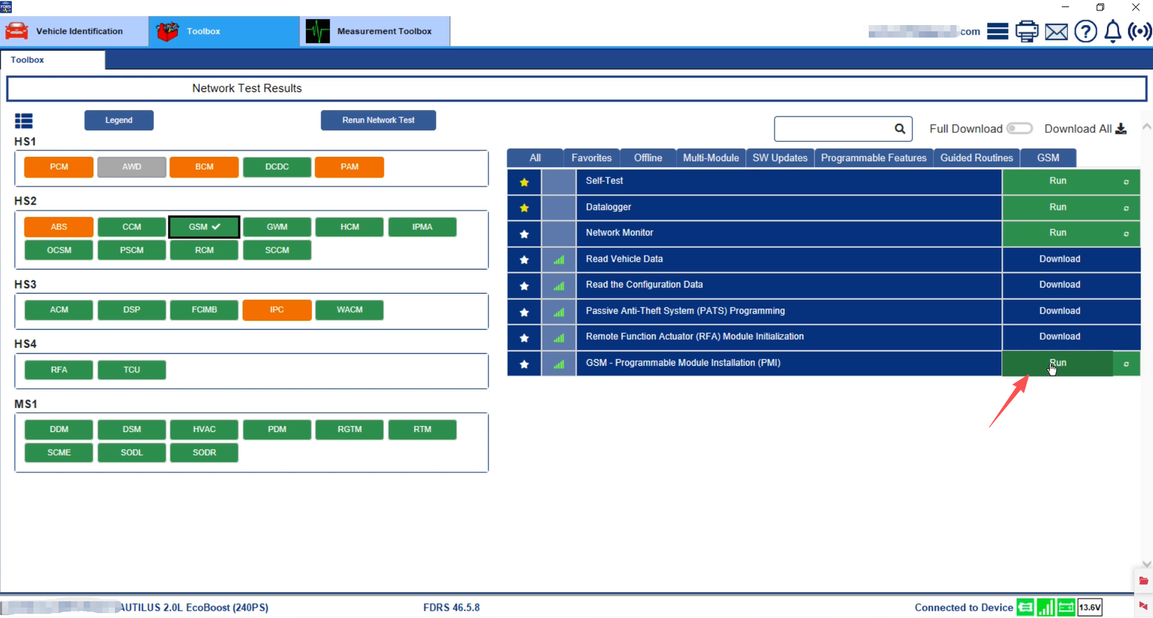
9.After the download is complete, click RUN to start the operation.
Note: You must connect a regulated power supply beforehand to ensure a stable power source before executing the run command.
10.Downloading vehicle software
11.After the programming file is downloaded, check the regulated power supply connection as prompted on the screen. Once confirmed, click YES.
Warning: Failure to connect a regulated power supply may directly cause programming interruption and flashing failure.
12.Confirm if the vehicle is currently equipped with the original factory ECU: Select YES for the original ECU, or NO for a brand new replacement ECU.
Note: If programming fails after selecting NO for a new ECU, please reinstall the original factory ECU and repeat the previous procedure. Wait for the software to display the ECU replacement prompt, then install the new ECU and strictly follow the on-screen instructions to complete the process.
13.Turn on the ignition, connect the regulated power supply, and click OK to start vehicle programming.
Note: Before programming, ensure the vehicle is in Park gear and the ignition is switched on.
14.Programming in progress. Please do not perform any operations and wait for the flashing to complete.
15.Turn off the ignition and click OK.
16.After the interface indicates programming is complete, turn on the ignition and click OK again to confirm.
17.After programming is complete, clear the fault codes and verify that the functions are working properly.
Note: Anti-theft programming requires a specific subscription. Please contact Ford OE software customer support to subscribe.